National Weather Service United States Department of Commerce

Vincent/Logan Martin (Shelby & Talladega Counties) EF-1 Tornado
April 27, 2011
 

 
EF-1
Estimated Maximum Wind:
105 mph
Injuries/Fatalities:
None
Damage Path Length:
8.59 miles
Maximum Path Width:
200 yards 
Approximate Start Point/Time:
33.3507/-86.4013 at 815 pm
Approximate End Point/Time:
33.4483/-86.3092 at 824 pm

National Weather Service meteorologists surveyed the damage in the vicinity of Vincent in Shelby County and Logan Martin Dam in Talladega County. The damage found was consistent with an EF-1 tornado with winds of 105 mph and was a regeneration of the Wateroak and Marvel supercell. The tornado touched down south of the town of Vincent on County Road 62, in Shelby County, where it uprooted dozens of trees. The tornado traveled to the northeast and dropped trees along the path. As it continued to the northeast into Talladega County, the tornado caused tree damage on the east end of Logan Martin Dam and continued through a couple of residential neighborhoods. Here, the tornado snapped and uprooted hardwood and softwood trees. The only home damage found and surveyed was due to fallen trees on Shaw Lane alongside Logan Martin Lake. The damage path was 8.59 miles long and 200 yards wide at its widest point.

A Tornado Warning was in effect for Shelby and Talladega Counties from 731 pm until 845 pm.

 
 Radar Data
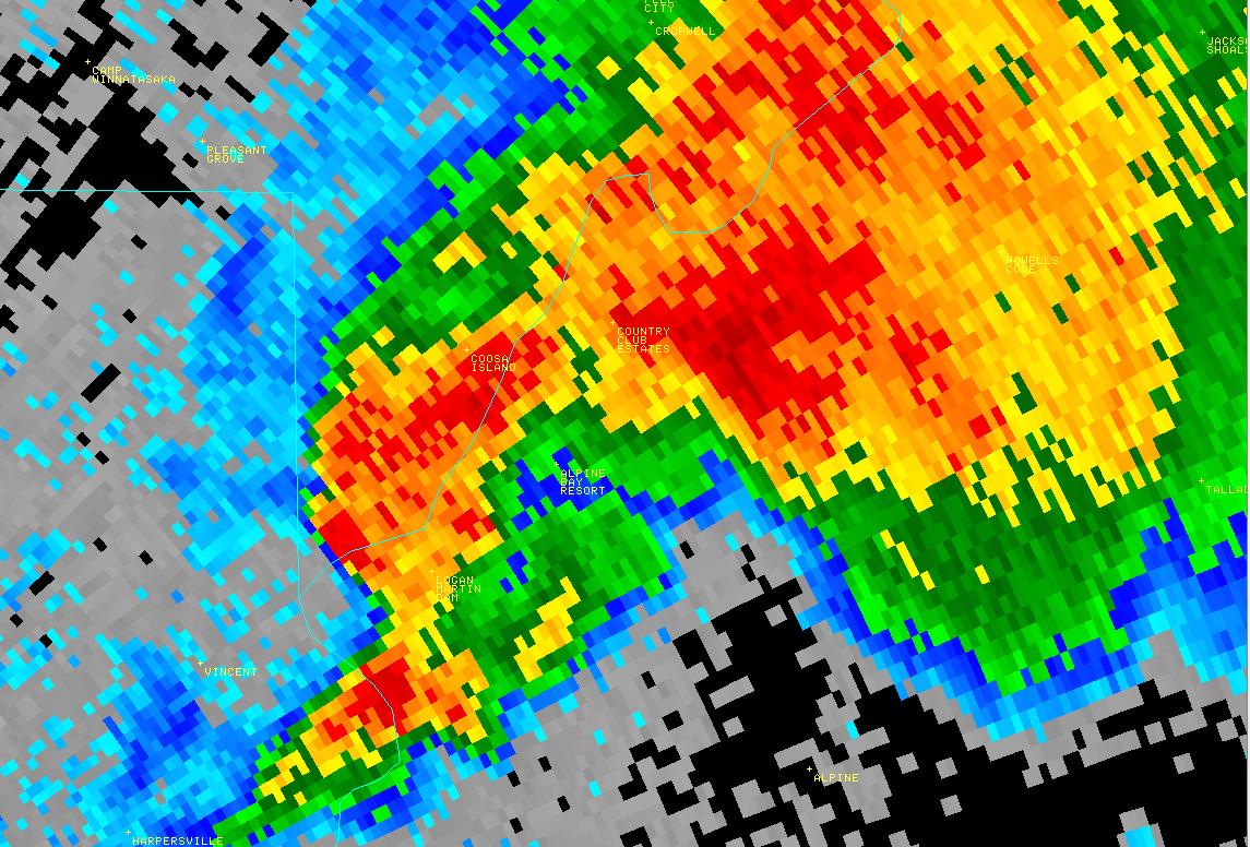
Radar Image This is an image of the 0.5 degree reflectivity data from KBMX at 822 pm as the circulation passed near Logan Martin Dam.
Click to enlarge.
Radar Image This is an image of the 0.5 degree storm relative velocity (SRM) data from KBMX at 822 pm as the circulation passed near Logan Martin Dam.
Click to enlarge.
 
Storm Damage Images 

Storm Damage Image
Trees Uprooted

Storm Damage Image
Roof Damage

 

Storm Damage Image
Trees Down

Storm Damage Info
Tree Uprooted

 

Storm Damage Image
Cinder Block Structure Destroyed

Storm Damage Info
Tree Uprooted