National Weather Service United States Department of Commerce

Wateroak (Hale and Bibb Counties) EF-1 Tornado
April 27, 2011
 

 
EF-1
Estimated Maximum Wind:
110 mph
Injuries/Fatalities:
None
Damage Path Length:
8.62 miles
Maximum Path Width:
300 yards
Approximate Start Point/Time:
32.8478/-87.4922 at 650 pm
Approximate End Point/Time:
32.9047/-87.3605 at 702 pm

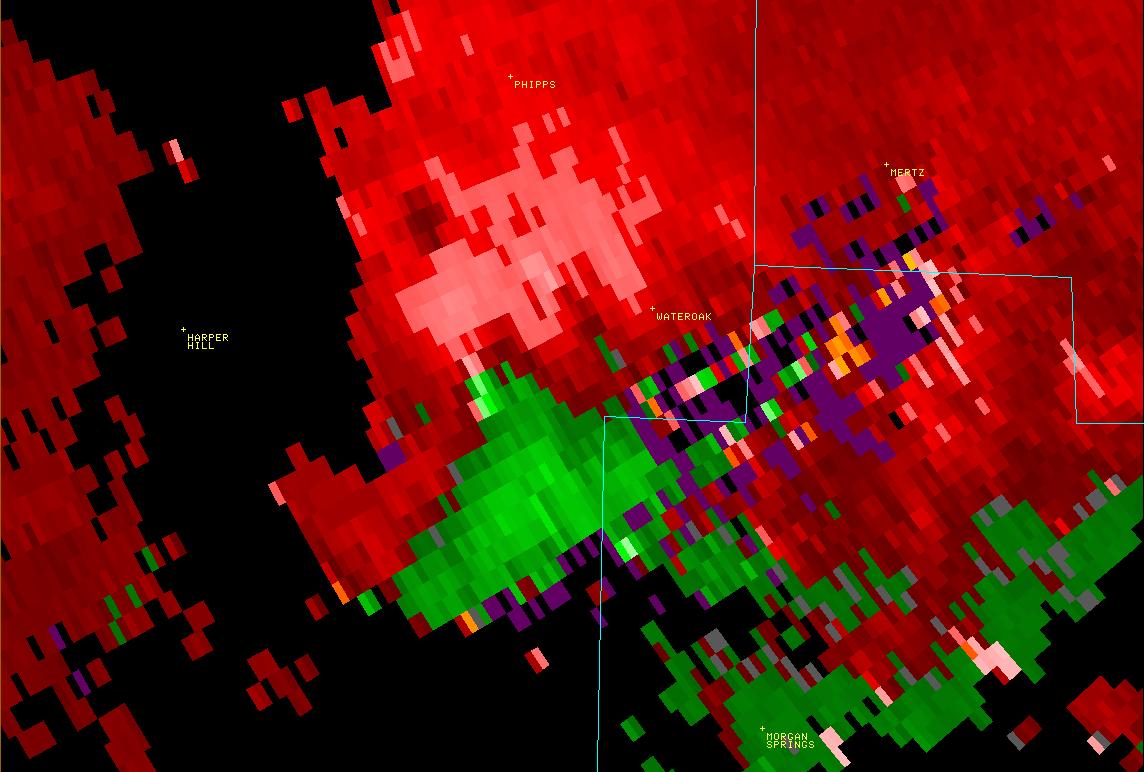
National Weather Service meteorologists surveyed multiple tracks across Hale and Bibb Counties. It has been determined that the damage with this path was consistent with a tornado. The tornado initially touched down east of CR 85 in Hale County, southwest of Hogglesville and tracked northeast along CR 25. As the tornado moved through Wateroak, a mobile home and a business were damaged. Significant tree damage was also noted along the path. Damage was consistent with an EF-1 rating and winds of 110 mph. The tornado moved into Bibb County south of CR 25. In Bibb County, the tornado tracked parallel to CR 25, where it caused significant tree damage in the national forest. Damage was consistent with winds of 110 mph and an EF-1 rating. The tornado lifted just east of Mertz, though this supercell did regenerate itself and create the Marvel tornado 30 minutes later. 

Tornado Warnings were in effect for Hale and Bibb Counties from 538 pm until 745 pm. 

 
 Radar Data & Damage Pictures
Radar Image Radar Image
This is an image of the 0.5 degree reflectivity data from KBMX at 650 pm as the circulation moved northeast toward Wateroak.
Click to enlarge.
This is an image of the 0.5 degree storm relative velocity (SRM) data from KBMX at 650 pm as the circulation moved northeast toward Wateroak. Click to enlarge.
Damage Image
Tornado Damage