National Weather Service United States Department of Commerce

Marion (Perry County) EF-1 Tornado
April 27, 2011
 

 
EF-1
Estimated Maximum Wind:
90 mph
Injuries/Fatalities:
None
Damage Path Length:
4.24 miles
Maximum Path Width:
100 yards
Approximate Start Point/Time:
32.5519/-87.3142 at 850 pm
Approximate End Point/Time:
32.5748/-87.2466 at 853 pm

National Weather Service meteorologists surveyed damage across south central Perry County where a tornado touched down 5.5 miles south of Marion, 1 mile west of CR 35 and tracked northeastward. The tornado destroyed an outbuilding and damaged the roof of a single family home along CR 38. The tornado strengthened to EF-1 with winds of 90 mph as it crossed CR 45, north of Vilula. Many trees were knocked down near the Faith Chapel Baptist Church. The tornado damaged a couple barns along Kynard Rd and quickly dissipated just east of CR 4.

A Tornado Warning was in effect for Perry County from 817 pm until 915 pm. 


Radar Data
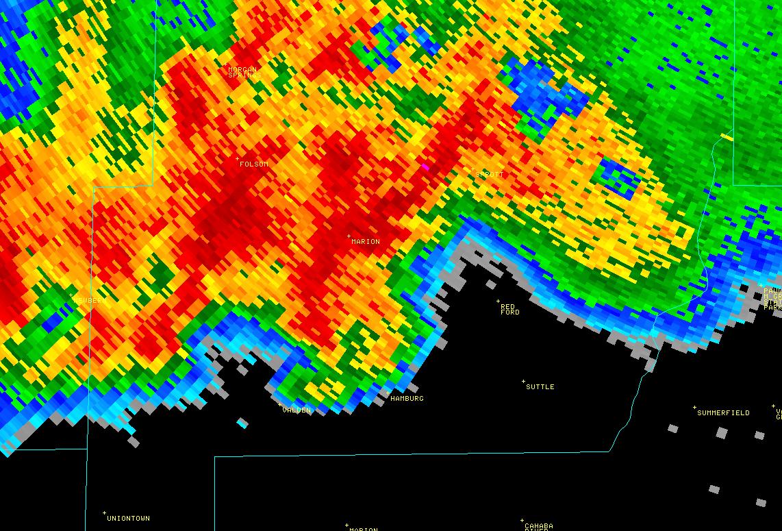
Radar Image This is an image of the 0.5 degree reflectivity data from KBMX at 849 pm as the circulation passed just south of Marion.
Click to enlarge.
Radar Image This is an image of the 0.5 degree storm relative velocity (SRM) data from KBMX at 849 pm as the circulation passed just south of Marion.
Click to enlarge.