National Weather Service United States Department of Commerce

Hubbertville (Fayette County) EF-3 Tornado
April 27, 2011
 

 
EF-3
Estimated Maximum Wind:
145 mph
Injuries/Fatalities:
None
Damage Path Length:
7.96 miles
Maximum Path Width:
880 yards (1/2 mile)
Approximate Start Point/Time:
33.8129/-87.8108 at 606 pm
Approximate End Point/Time:
33.8683/-87.6892 at 614 pm

National Weather Service meteorologists surveyed damage across Fayette County which impacted the Hubbertville area. It has been determined that the damage was consistent with a strong tornado. Winds were estimated at 145 mph. The tornado touched down 4.5 miles south of Bobo near Highway 43, where many trees were snapped or uprooted. The tornado moved northeast where a swath of hundreds of trees were knocked down. As the tornado crossed County Road 49, numerous pine trees were sheared off approximately 20 feet above ground level. A home was destroyed as most of its walls collapsed and debris was tossed several hundred feet. As the storm continued along its path, several barns and outbuildings were damaged or destroyed. The tornado lifted near County Road 24, approximately 2 miles south of Bazemore.

A Tornado Warning was in effect from 522 pm until 630 pm. 

 
Radar Data 
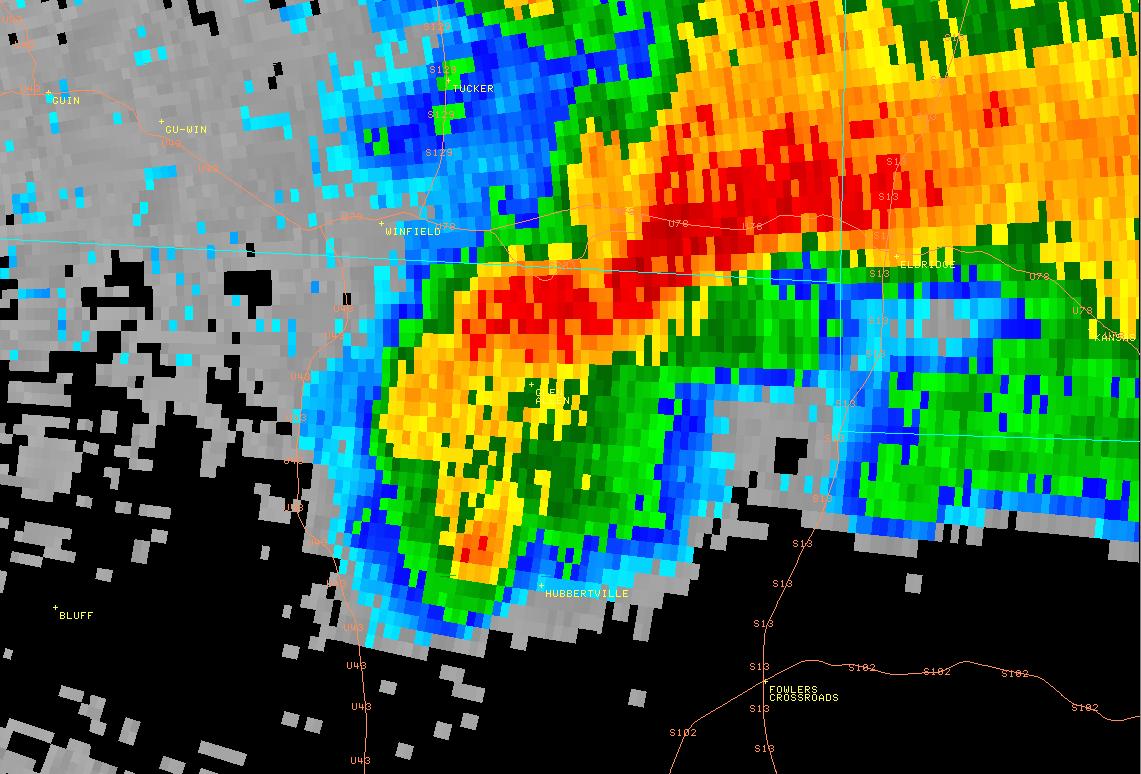
Radar Image Radar Image
This is an image of the 0.5 degree reflectivity data from KGWX at 610 pm of the circulation as it passed near Hubbertville.
Click to enlarge.
This is an image of the 0.5 degree storm relative velocity (SRM) data from KGWX at 610 pm of the circulation as it passed near Hubbertville.
Click to enlarge.
 
Storm Damage Images 

Storm Damage Image
Brick Home Destroyed

Storm Damage Image
Trees Snapped Off

 

Storm Damage Image
Debris Field from Home & Trees Uprooted

Storm Damage Image
Most of Roof Removed from Home CR 49